












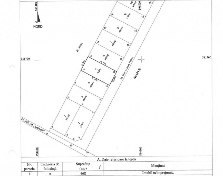
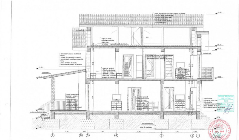
Va propunem spre vanzare un teren in suprafata de 468mp pe str. Lebedelor din Comuna Berceni. Terenul are o deschidere de 15ml, iar curentul se afla in zona, casele de langa fiind bransate. Gazul se afla si el la o distanta aproximativa de 100ml. Terenul detine proiect de casa P+1+Pod, studiu geotehnic, raport de trasare si cu minimum de efort poate fi depus la primarie pentru autorizare.
Va asteptam la o vizionare!